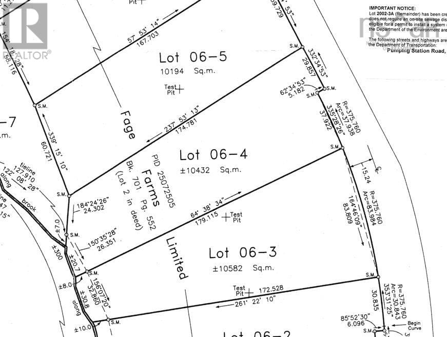
Welcome to this exceptional 2.5-acre building lot located in the desirable area of Hastings-just minutes from the amenities of Amherst, yet nestled in a peaceful country setting. This location truly offers the best of both worlds, along with the benefit of a lower county tax rate. The lot is fairly level, making it suitable for a wide variety of home designs without the added cost of additional fill and extensive grade work. An oversized road approach and a 200-foot driveway base have already been installed, giving you a head start on parcel development. Parcels of this size and value are becoming increasingly hard to find, and this one presents a rare opportunity in a fantastic location. Restrictive covenants are in place to help maintain the quality and appeal of the subdivision. If youve been considering a new build-now or in the future-this lot deserves your attention. Take a look today. Youll be glad you did!
Last updated on : Tuesday 14th of April 2026 12:10:19 PM
Street : 06-4 HASTINGS ROAD
City : Hastings
Country : Canada
Postal Code : B4H3Y3
Property ID : 202601169
Building Type : Other
Property Type : Vacant Land
Parking Type: Gravel