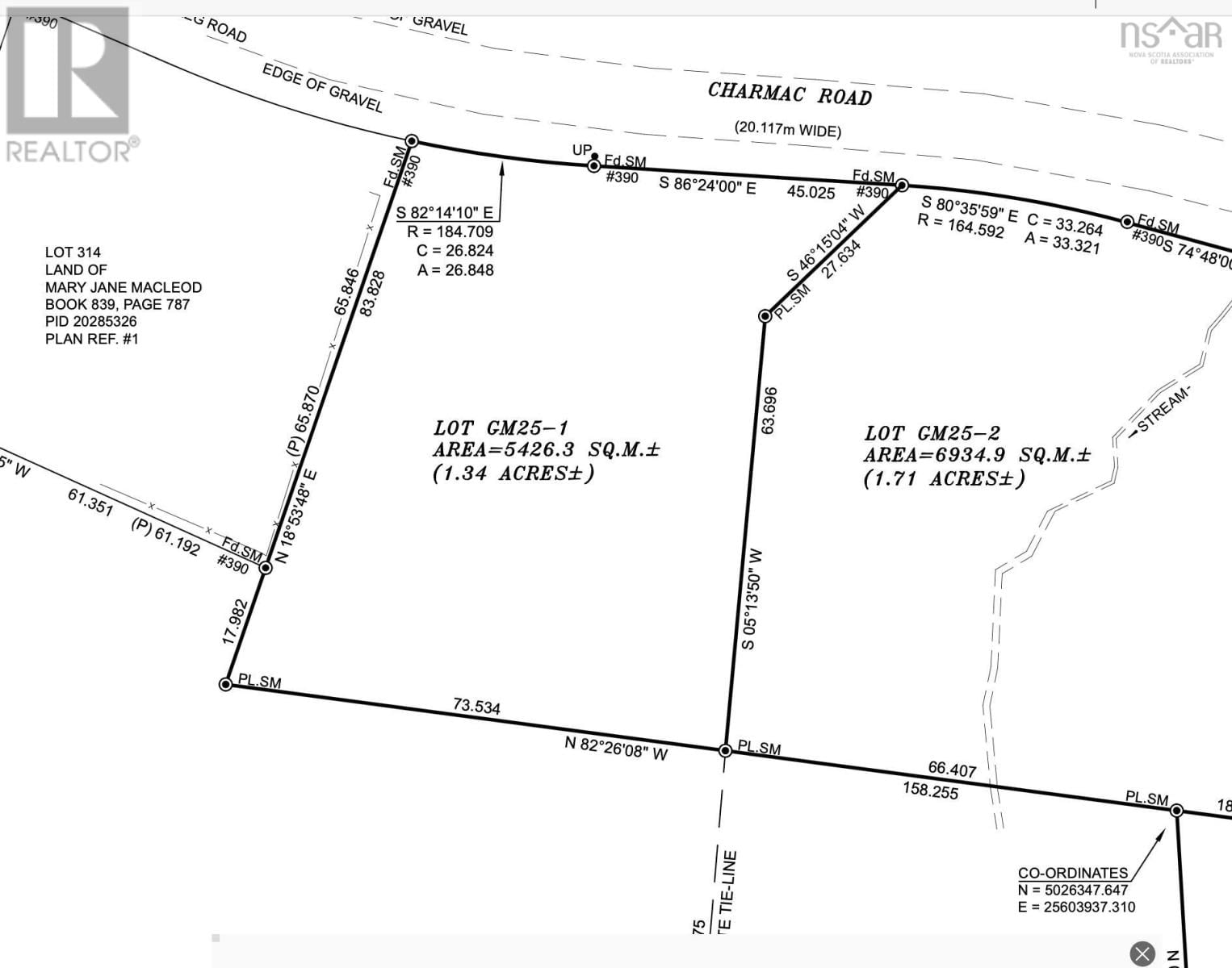
GM - 25-1 CHARMAC ROAD | Intercity

GM - 25-1 CHARMAC ROAD

Greenfield, , B6L3E4, Canada

$54,900

Similar Properties

Vacant Land

LOT SCOTT'S POINT ROAD

East Dover, Nova Scotia, B3Z3W2

$249,900

property Type: Other

class: ResidentialProperty

type: Sale

Jamie-Lynn Gillis
5 days ago
Vacant Land

8 PECK MEADOW ROAD

Greenfield, Nova Scotia, B4P2R1

$65,000

property Type: Other

class: ResidentialProperty

type: Sale

Kane Smith
3 days ago
Vacant Land

14 & 15 HIGHVIEW & CLOUGH AVE

Port Hastings, Nova Scotia, B9A1K8

$28,000

property Type: Other

class: ResidentialProperty

type: Sale

Everett Vass
11 months ago
Vacant Land

22 ACRE 215 HIGHWAY

Maitland, Nova Scotia, B0N1T0

$129,000

property Type: Other

class: ResidentialProperty

type: Sale

Alicia McLearn
2 months ago
Vacant Land

8 ACRES CEDAR ROAD

Maitland, Nova Scotia, B0N1T0

$85,000

property Type: Other

class: ResidentialProperty

type: Sale

Alicia McLearn
2 months ago